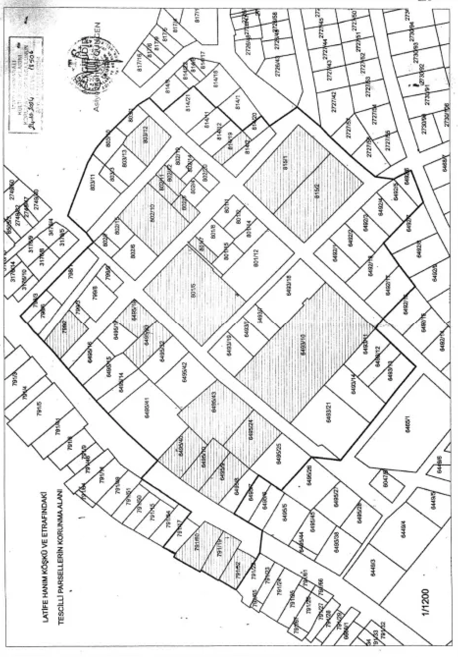
O köşk çevresindeki parseller için bakanlıktan yeni karar!
Resmi Gazete'de yayınlanan karara göre Kültür ve Turizm Bakanlığı’na bağlı İzmir 1 Numaralı Kültür Varlıklarını Koruma Bölge Kurulu İzmir'deki Hanım Köşkü ve komşu parselleri ile ilgili önemli karar aldı.
Yayınlanma :
14.12.2024 10:11
Güncelleme :
14.12.2024 10:11
Kültür ve Turizm Bakanlığı’na bağlı İzmir 1 Numaralı Kültür Varlıklarını Koruma Bölge Kurulu, resmi gazetede yayınlanan karara göre Koruma Bölge Kurulu İzmir'de Konak'ta bulunan Hanım Köşkü ve komşu parsellerinin korunması statüsü ile ilgili önemli karar aldı.
STATÜLERİ DEĞİŞTİ! Alınan karara göre köşke komşu olan parselle korunma altına alınırken kimilerinin de statülerinin değiştiği açıklandı.
Yorum Yazma Kuralları
Lütfen yorum yaparken veya bir yorumu yanıtlarken aşağıda yer alan yorum yazma kurallarına dikkat ediniz.
Türkiye Cumhuriyeti yasalarına aykırı, suç veya suçluyu övme amaçlı yorumlar yapmayınız.
Küfür, argo, hakaret içerikli, nefret uyandıracak veya nefreti körükleyecek yorumlar yapmayınız.
Irkçı, cinsiyetçi, kişilik haklarını zedeleyen, taciz amaçlı veya saldırgan ifadeler kullanmayınız.
Türkçe imla kurallarına ve noktalama işaretlerine uygun cümleler kurmaya özen gösteriniz.
Yorumunuzu tamamı büyük harflerden oluşacak şekilde yazmayınız.
Gizli veya açık biçimde reklam, tanıtım amaçlı yorumlar yapmayınız.
Kendinizin veya bir başkasının kişisel bilgilerini paylaşmayınız.
Yorumlarınızın hukuki sorumluluğunu üstlendiğinizi, talep edilmesi halinde bilgilerinizin yetkili makamlarla paylaşılacağını unutmayınız.
Sitemizde, sizlere daha iyi hizmet sunabilmek için çerezler kullanılmaktadır. KVKK ve GDPR kapsamında kişisel verileriniz işlenmektedir. Detaylar için Veri Politikamızı inceleyebilirsiniz.
Yorumlar
Kalan Karakter: